Svakodnevno dopunjena ponuda nekretnina

ZEMLJIŠTE I VIKENDICA Erdut Žarkovac

Informacije

  • Tip nekretnine: Zemljište
  • Lokacija: Erdut
  • Adresa: Erdut Žarkovac 13
  • Cijena: 16,500€
  • Stambena površina: 45 m2
  • Površina okućnice: 6,096 m2
  • Šifra: 2845
Opis:

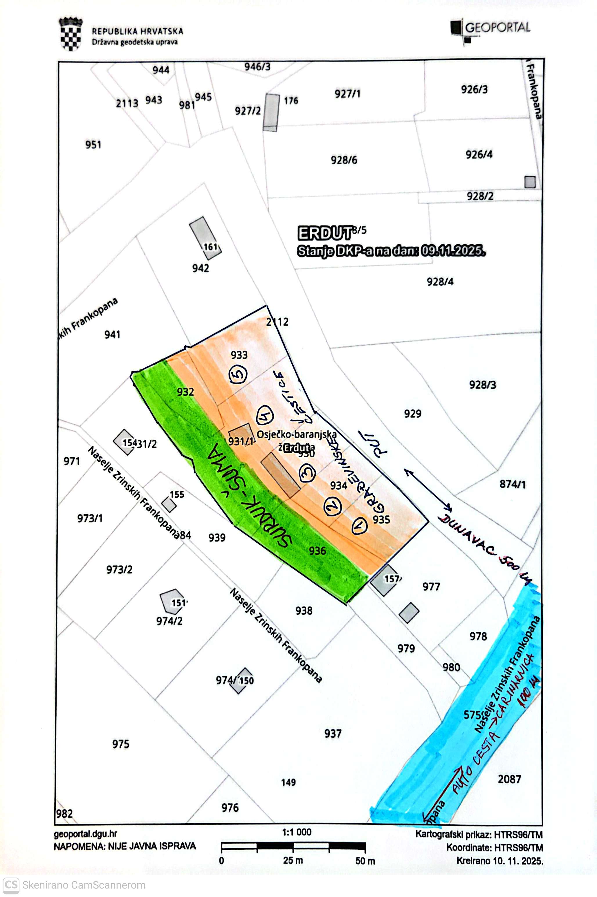
PRODAJA Građevinsko zemljište, Erdut, 6096 m2

Ukupno sedam (7) zemljišnih čestica površine 4.796m2. Pet (5) građevinskih čestica- obojeno narančasto. Surduk- šuma obojano zelenom bojom, površine cca 1.300m2. Na zemljištu se nalazi vikendica niski roch bau, površine 45m2, legalizirana.
Lokacija: 150m od Carinarnice, cca 500m od Dunava, uz samu cestu D13 (Osijek- Bogojevo), popularna za ribiče.
Teren i pristupni put očišćen. Cijena svih sedam nekrenina je 16.500 EUR.
Sve informacije na broj mobitela: 098 252 266.

Pogledajte još